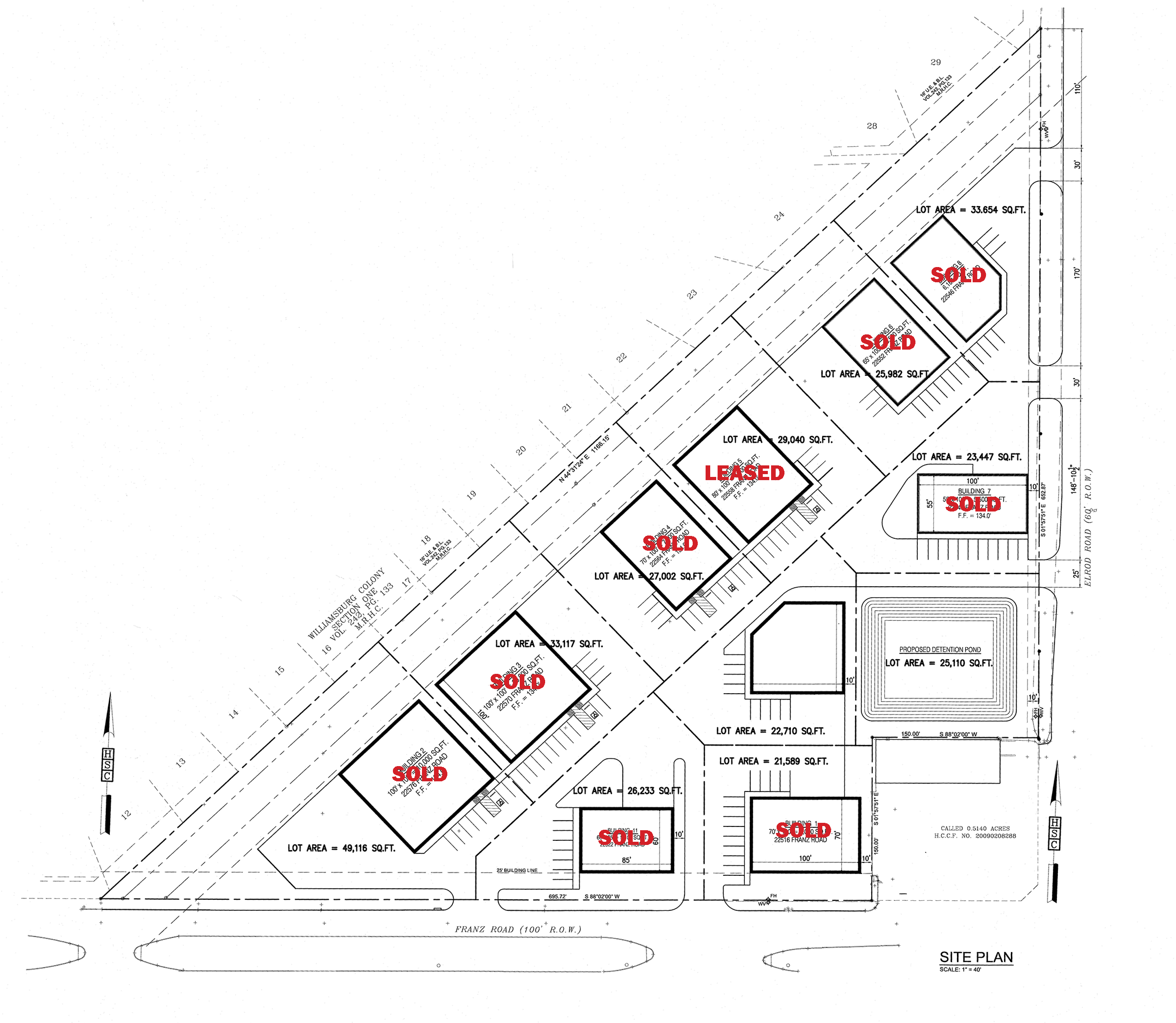
Franz Elrod Business Park

Year

2017

Address

22516-22576 Franz Road Katy, Texas 77449

Project Summary
Project Highlights
Single Metal Warehouse Buildings
Total SF: ±10,000 SF
Number of buildings: Nine (9) buildings
Type: Industrial warehouse
Construction: Metal construction with brick/stone façade
Tenancy: Single